神戸新聞NEXT|連載・特集|虫顔図鑑 - 往年のギャングスター・タガメ
カイブツ度
★★★★★
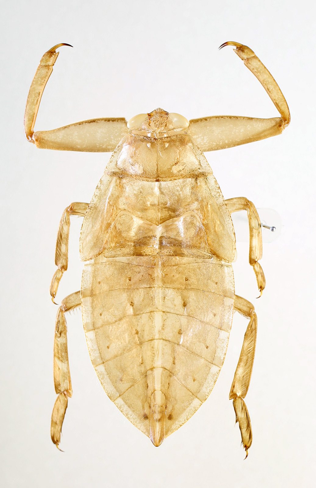
往年のギャングスター
タガメ
コオイムシ科
学名:Lethocerus deyrollei
昔は害虫、今は希少種
カイブツ度
★★★★★
水草のかげなどで潜み、小魚やオタマジャクシ、カエルなどが近くづくと、2本の前脚でつかまえてその体液を吸う。初夏に水面からでた水草の茎に卵をかためてうみつける。魚を飼育、販売する業者にとっては、害虫とされてきたが、近年は、すみかである水田での農薬の影響や池の護岸整備による環境の変化で絶滅が危ぶまれている。体長50~65ミリ。
分布は北海道、本州、四国、九州。
採集地は兵庫県佐用町。
前
の昆虫
次
の昆虫
カイブツなオールスターたち
カイブツ度
★★★☆☆
伝説の錬金術師
カイブツ度
★★★★☆
鋼鉄の皇子
カイブツ度
★★★☆☆
水玉模様の道化師
カイブツ度
★★☆☆☆
永遠の冒険家
カイブツ度
★★★☆☆
真夜中の訪問者
カイブツ度
★★★★☆
地獄を見た男
カイブツ度
★★★☆☆
水面の鍼灸師
カイブツ度
★★★☆☆
風にのるデザイナー
カイブツ度
★★★★☆
硬質ボディー
カイブツ度
★★★☆☆
森の語り部
カイブツ度
★★★☆☆
緑の伝道師
カイブツ度
★★★★☆
月下の魔術師
カイブツ度
★★★☆☆
水中の「牙」
カイブツ度
★★★★☆
イエローアタッカー
カイブツ度
★★★★☆
森の妖精
カイブツ度
★★★☆☆
小さな宝石
カイブツ度
★★★☆☆
時代を射抜く3兄弟
カイブツ度
★★★★☆
都市をにぎわすマエストロ
カイブツ度
★★★☆☆
キラリ複眼
カイブツ度
★★★★☆
森のお掃除屋さん
カイブツ度
★★★☆☆
瞳はエメラルドグリーン
カイブツ度
★★★★☆
水中のスタイリスト
カイブツ度
★★★☆☆
時代を語る古老
カイブツ度
★★★★☆
リサイクル界の鬼才
カイブツ度
★★★★☆
木材加工のスペシャリスト
カイブツ度
★★★★☆
茶目っ気ドラゴンフライ
カイブツ度
★★★☆☆
森の「チョコレート」
カイブツ度
★★★★☆
明日のガンマン
カイブツ度
★★★☆☆
三日月模様の芸術家
カイブツ度
★★★★★
往年のギャングスター
カイブツ度
★★☆☆☆
七色の魔術師
カイブツ度
★★★★☆
老境の仮面ライダー
カイブツ度
★★★★☆
謎多き哲学者
カイブツ度
★★★★☆
清流の俳人
カイブツ度
★★★★☆
星をつぐ者
カイブツ度
★★★★☆
異色の木工職人
カイブツ度
★★★☆☆
頼れる一等航海士
カイブツ度
★★★★★
こわもて登山ガイド
カイブツ度
★★★★★
黄昏の訪問者
カイブツ度
★★★★☆
永遠の男爵
カイブツ度
★★★★☆
永遠のヒッピー
カイブツ度
★★★★☆
真っ赤な彗星
カイブツ度
★★★☆☆
気鋭の天文学者
カイブツ度
★★★★★
地を這う弾丸列車
カイブツ度
★★★☆☆
深夜のキューピット
カイブツ度
★★☆☆☆
水面のシンドバット
カイブツ度
★★★☆☆
眉毛自慢のコンシェルジュ
カイブツ度
★★★★★
樹上のファイター
カイブツ度
★★★★☆
真夏の音楽家
カイブツ度
★★★★
真夜中の舞踊家
カイブツ度
★★★☆☆
林の果物商
カイブツ度
★★★☆☆
瞳はエメラルド
カイブツ度
★★★☆☆
空飛ぶ哲学者
カイブツ度
★★★★☆
異色のタイガースファン
カイブツ度
★★★☆☆
森林のジャンパー
カイブツ度
★★★★★
腕自慢のカーペンター
カイブツ度
★★★★★
黒褐色のタイタン
【編集後記】
昆虫は、自然の「結晶体」
Copyright 神戸新聞社 All Rights Reserved.