神戸新聞NEXT|連載・特集|虫顔図鑑 - 水面の鍼灸師・オオアメンボ
カイブツ度
★★★☆☆
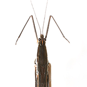
水面の鍼灸師
オオアメンボ
アメンボ科
学名:Aquarius elongatus
水面をスイスイ
カイブツ度
★★★☆☆
日本最大のアメンボ。手でつかまえると、指にベッコウアメのような甘い匂いがついたことから、その名がついた。周辺に木が茂る薄暗い池を好み、水面に落ちた虫を食べる。針のようなストロー状の口で虫の体液を吸う。成虫出現期は5~9月。体長11~16ミリ。分布は日本全土。
採集地は神戸市須磨区東須磨
前
の昆虫
次
の昆虫
カイブツなオールスターたち
カイブツ度
★★★☆☆
伝説の錬金術師
カイブツ度
★★★★☆
鋼鉄の皇子
カイブツ度
★★★☆☆
水玉模様の道化師
カイブツ度
★★☆☆☆
永遠の冒険家
カイブツ度
★★★☆☆
真夜中の訪問者
カイブツ度
★★★★☆
地獄を見た男
カイブツ度
★★★☆☆
水面の鍼灸師
カイブツ度
★★★☆☆
風にのるデザイナー
カイブツ度
★★★★☆
硬質ボディー
カイブツ度
★★★☆☆
森の語り部
カイブツ度
★★★☆☆
緑の伝道師
カイブツ度
★★★★☆
月下の魔術師
カイブツ度
★★★☆☆
水中の「牙」
カイブツ度
★★★★☆
イエローアタッカー
カイブツ度
★★★★☆
森の妖精
カイブツ度
★★★☆☆
小さな宝石
カイブツ度
★★★☆☆
時代を射抜く3兄弟
カイブツ度
★★★★☆
都市をにぎわすマエストロ
カイブツ度
★★★☆☆
キラリ複眼
カイブツ度
★★★★☆
森のお掃除屋さん
カイブツ度
★★★☆☆
瞳はエメラルドグリーン
カイブツ度
★★★★☆
水中のスタイリスト
カイブツ度
★★★☆☆
時代を語る古老
カイブツ度
★★★★☆
リサイクル界の鬼才
カイブツ度
★★★★☆
木材加工のスペシャリスト
カイブツ度
★★★★☆
茶目っ気ドラゴンフライ
カイブツ度
★★★☆☆
森の「チョコレート」
カイブツ度
★★★★☆
明日のガンマン
カイブツ度
★★★☆☆
三日月模様の芸術家
カイブツ度
★★★★★
往年のギャングスター
カイブツ度
★★☆☆☆
七色の魔術師
カイブツ度
★★★★☆
老境の仮面ライダー
カイブツ度
★★★★☆
謎多き哲学者
カイブツ度
★★★★☆
清流の俳人
カイブツ度
★★★★☆
星をつぐ者
カイブツ度
★★★★☆
異色の木工職人
カイブツ度
★★★☆☆
頼れる一等航海士
カイブツ度
★★★★★
こわもて登山ガイド
カイブツ度
★★★★★
黄昏の訪問者
カイブツ度
★★★★☆
永遠の男爵
カイブツ度
★★★★☆
永遠のヒッピー
カイブツ度
★★★★☆
真っ赤な彗星
カイブツ度
★★★☆☆
気鋭の天文学者
カイブツ度
★★★★★
地を這う弾丸列車
カイブツ度
★★★☆☆
深夜のキューピット
カイブツ度
★★☆☆☆
水面のシンドバット
カイブツ度
★★★☆☆
眉毛自慢のコンシェルジュ
カイブツ度
★★★★★
樹上のファイター
カイブツ度
★★★★☆
真夏の音楽家
カイブツ度
★★★★
真夜中の舞踊家
カイブツ度
★★★☆☆
林の果物商
カイブツ度
★★★☆☆
瞳はエメラルド
カイブツ度
★★★☆☆
空飛ぶ哲学者
カイブツ度
★★★★☆
異色のタイガースファン
カイブツ度
★★★☆☆
森林のジャンパー
カイブツ度
★★★★★
腕自慢のカーペンター
カイブツ度
★★★★★
黒褐色のタイタン
【編集後記】
昆虫は、自然の「結晶体」
Copyright 神戸新聞社 All Rights Reserved.