取材パートナー
「庭で花火をした後、太ももに発疹ができてひどく痛みます」。福岡県直方市の女性(40)から、西日本新聞社にそんな声が届いた。普通の虫刺されとは違うという。コロナ禍の夏、庭やキャンプ場など野外で3密を避けながらレジャーを楽しむ人は少なくない。謎の炎症の正体は-。
女性は8月初旬、子ども4人と一緒に庭で花火をした。翌日、右太ももに10センチほど線を引いたように発疹や水ぶくれのような痕ができた。「やけどのような激しい痛みが数日続き、動くのもつらかった」。花火によるやけどや、虫に刺されたような記憶はない。
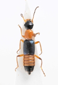
皮膚科を受診すると、線状皮膚炎と診断された。炎症を引き起こした「犯人」は「アオバアリガタハネカクシ」という昆虫だった。
◆ ◆
「体液が付くとやけどのような炎症を起こすため、『やけど虫』とも呼ばれています」と話すのは、九州大学総合研究博物館の丸山宗利准教授(昆虫学)。体長は0・6~0・7センチ程度。日本全域に生息し、特に平野部の水田などで5月ごろから秋にかけて多く見られる。夜は光に集まる習性があり、小さな体で隙間から家屋に入り込むことも。
特徴は有毒成分「ペデリン」が体液に含まれていること。天敵の小鳥などに食べられないためだが、これが人間の皮膚に触れると炎症を引き起こす。体から払いのける際につぶしてしまうことが多く、顔や首など皮膚の柔らかい部分ほど症状が現れやすいという。
日本に2500種ほどいるハネカクシの仲間の多くは人体に無害。一部のアリガタハネカクシの仲間に有害な体液があり、特に身近な場所に出るアオバアリガタハネカクシの被害に遭うケースが目立つそうだ。
死骸でも体液が残っている可能性があり、素手で触るのは避けた方がいいのだとか。「目に入れば失明の可能性もある。体液が付いたらすぐ水で洗い流して、医療機関を受診して」と丸山准教授は勧める。
◆ ◆
夏休みは終わったが、子どもたちにとって昆虫採集の季節はまだ続く。野外で調査活動を行うことが多い丸山准教授によると、服装は長袖、長ズボンが基本という。「森の中では長靴を忘れずに。首にも必ずタオルを巻きます」
アオバアリガタハネカクシ以外にも、有毒の虫や植物は少なくない。子どもに人気のカブトムシやクワガタが集まる木の周りには、樹液に引き寄せられたスズメバチがいる可能性も。足元の茂みには猛毒のマムシが隠れていることもある。
丸山准教授は「何かあったときのために最寄りの医療機関を確認し、常に大人と一緒に行動することが重要です」と話した。(西日本新聞)
◇ ◇
神戸新聞の双方向報道「スクープラボ」と同様の取り組みを進める全国の地方紙の記事を、「パートナー紙から」と題し随時掲載します。
2020/9/13
世界遺産に大量ごみ30年以上 裏山に家電、布団… 京都・仁和寺2021/2/12
自販機横のごみ箱 投入口だけなぜ分別? 内部に仕切りなし2021/2/3
「思いを返して」京アニ応援ノートなくなる 作品聖地にファン設置2020/12/19
幸せの黄色い風船 神戸から280キロ、アルプス望む長野へ2020/12/3









