連載・特集 連載・特集 プレミアムボックス

取材パートナー

  • 印刷
前へ
記事へ
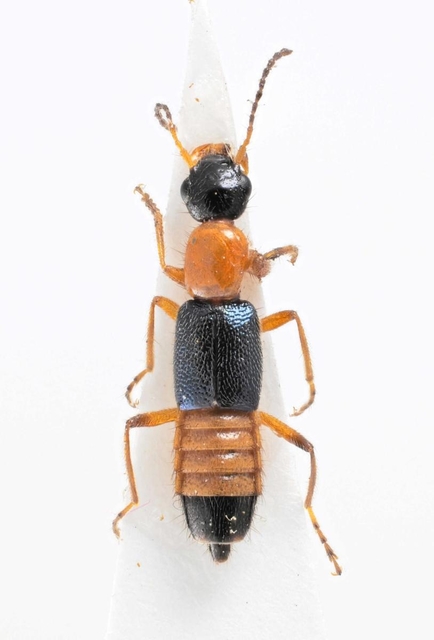
アオバアリガタハネカクシの標本。体液には有害成分を含む(北九州市立自然史・歴史博物館提供)
アオバアリガタハネカクシの標本。体液には有害成分を含む(北九州市立自然史・歴史博物館提供)
  • 「やけど虫」による線状皮膚炎は、線を引いたような発疹や水ぶくれ、やけどのような激しい痛みが特徴(女性提供)
  • アオバアリガタハネカクシの標本。体液には有害成分を含む(北九州市立自然史・歴史博物館提供)
 

天気(10月27日)

  • 23℃
  • ---℃
  • 10%

  • 20℃
  • ---℃
  • 50%

  • 23℃
  • ---℃
  • 10%

  • 23℃
  • ---℃
  • 20%

お知らせ